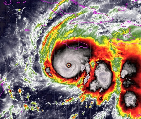
El huracán Melissa, formado como tormenta tropical el martes pasado en el mar Caribe, ha alcanzado la categoría 5, según el Centro Nacional de Huracanes (NHC, en inglés) de Estados Unidos, que prevé vientos destructivos, marejada ciclónica e inundaciones catastróficas que empeorarán en Jamaica durante el día y hasta esta noche.
La previsión es que Melissa golpee como huracán a Jamaica este lunes y a Cuba el martes o el miércoles, además de causar lluvias en Haití y en la República Dominicana, donde un millón de usuarios quedaron sin agua.
Refugios
Desde el Centro Nacional de Huracanes se advierte a la población de Jamaica que no abandone su refugio seguro, ya que hasta mañana martes existe un alto riesgo de inundaciones repentinas y deslizamientos de tierra catastróficos.
Además, se recuerda que los vientos de carácter destructivo, especialmente en las zonas montañosas, comenzarán esta noche y podrían ocasionar daños graves en infraestructuras, cortes de energía y de comunicaciones de larga duración, dejando comunidades aisladas.
También se prevén marejadas ciclónicas y olas peligrosas a lo largo de la costa sur hasta el martes.
En Haití y en la República Dominicana se espera que las condiciones propias de tormenta tropical lleguen hacia el final del martes y se prolonguen en el miércoles. Allí también se advierte de inundaciones, deslizamientos de tierra y de probables aislamientos de comunidades.
En regiones del este de Cuba, se espera que las lluvias caigan con fuerza y los vientos soplen con gran intensidad durante la tarde-noche del martes.
Con información de EFE









